/imgs/robbin/r/Tiliaceae_Tilia_cordata_32767.html
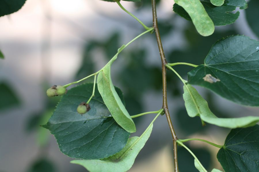
Tiliaceae : Tilia cordata det. Robbin Moran 2008
LINK TO THIS IMAGE
  Image at
Follow us on twitter:
USA: Missouri:: St Louis Co. St. Louis (University City), N of Washington University GOOmap to County   VEmap to County , 2008.
The bract is a highly modified, precociously developing prophyll on the axilary bud. The inflorescence is fused to, and displaced onto, the rachis of the leaf. Photo taken 4 Aug 2008.
Copyright © 2008 by Robbin Moran (contact: kcn2[at]cornell.edu) [ref. DOL32767]
Fit to Window Naked Image - Image of Tiliaceae Tilia cordata   TERMS OF USE
Tiliaceae Tilia cordata
IMAGES VIEWED AT FULL SIZE: 59130243 ()