/imgs/robbin/r/Tiliaceae_Tilia_americana_44562.html
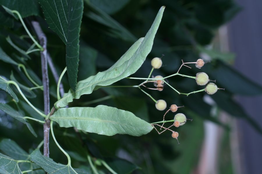
Tiliaceae : Tilia americana det. Robbin Moran 2013
LINK TO THIS IMAGE
  Image at
Follow us on twitter:
UNITED STATES: Missouri:: St. Louis Co. University City, north of Washington University, 2013.
Infructescence. Photo taken 4 Aug 2013.
Copyright © 2013 by Robbin Moran (contact: kcn2[at]cornell.edu) [ref. DOL44562]
Fit to Window Naked Image - Image of Tiliaceae Tilia americana   TERMS OF USE
Tiliaceae Tilia americana
IMAGES VIEWED AT FULL SIZE: 59130243 ()