/imgs/robbin/r/Rhamnaceae_Colubrina_spinosa_37625.html
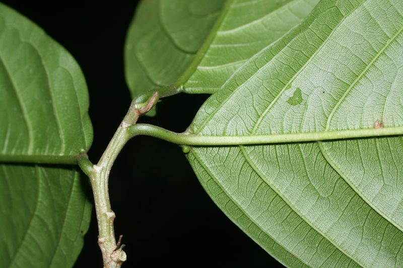
Rhamnaceae : Colubrina spinosa det. Robbin Moran 2010
LINK TO THIS IMAGE
  Image at
Follow us on twitter:
COSTA RICA: Heredia:: Sarapiqui La Selva Biological Station, near the town of Puerto Viejo. 50 m, 2010.
Note paired glands at base of lamina.
Copyright © 2010 by Robbin Moran (contact: kcn2[at]cornell.edu) [ref. DOL37625]
Fit to Window Naked Image - Image of Rhamnaceae Colubrina spinosa   TERMS OF USE
Rhamnaceae Colubrina spinosa
IMAGES VIEWED AT FULL SIZE: 59130243 ()