/imgs/lkelly/r/Salicaceae_Casearia_corymbosa_33199.html
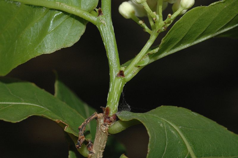
Salicaceae : Casearia corymbosa
LINK TO THIS IMAGE
  Image at
Follow us on twitter:
COSTA RICA: Guanacaste: Palo Verde National Park., 2008.
Nodes with stipules.
Copyright © 2008 by Lawrence M. Kelly (contact: lkelly[at]nybg.org) [ref. DOL33199]
Fit to Window Naked Image - Image of Salicaceae Casearia corymbosa   TERMS OF USE
Salicaceae Casearia corymbosa
IMAGES VIEWED AT FULL SIZE: 59130243 ()