/imgs/kcn2/r/Urticaceae_Laportea_canadensis_3198.html
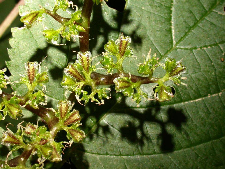
Urticaceae : Laportea canadensis
LINK TO THIS IMAGE
  Image at
Follow us on twitter:
USA: NY:: Tompkins Co. Robert Treman State Park, woods near stream in upper park. GOOmap to County   VEmap to County
Copyright © 2001 by Kevin C. Nixon (contact: kcn2[at]cornell.edu) [ref. DOL3198]
Fit to Window Naked Image - Image of Urticaceae Laportea canadensis   TERMS OF USE
Urticaceae Laportea canadensis
IMAGES VIEWED AT FULL SIZE: 59130243 ()